Buscador
Terreno en Venta U$S 40.000
ID 414049
Terrenos en Venta – Calle 45 y 34
Oportunidad
Compartir
Street View

Descripción del Inmueble

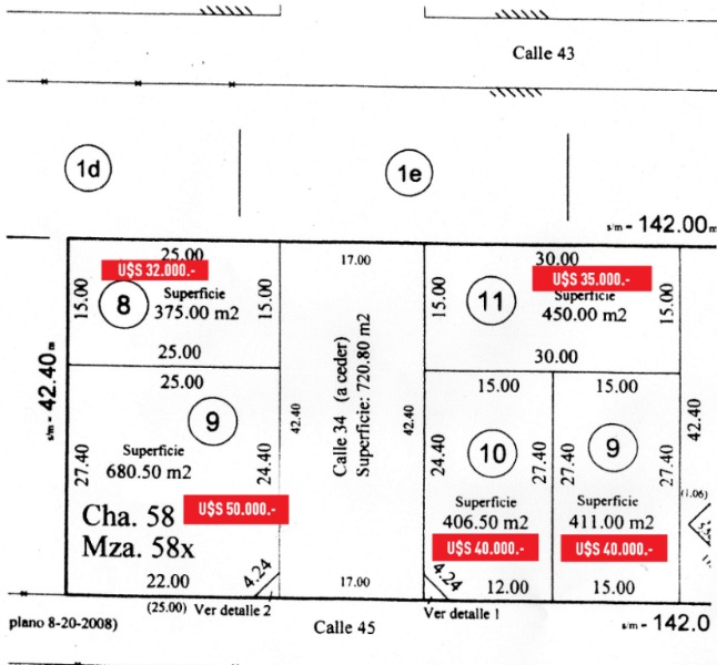
Manzana 58X Lote 8 de 15 x 25 = 375 m2 – U$S 32.000.- VENDIDO Lote 9 de 25 x 24.40 = 685 m2 – U$S 50.000.- (En esquina con ochava) VENDIDO Manzana 58 Lote 9 de 15 x 27.40 = 411 m2 – U$S 40.000.- Lote 10 de 15 x 27.40 = 406.50 m2 – U$S 40.000.- (En esquina con ochava) Lote 11 de 15 x 30 = 450 m2 – U$S 45.000.- Consulte por financiación!!

Detalle del Inmueble

  • Zona: Balcarce
  • Tipo de Operación: Venta
  • Superficie Total: 450 m2
  • Dirección Aprox.: C. 45 1026
  • Valor: U$S 40.000
  • Forma de Pago: Contado, Financiado
  • Frente: 15 m2
  • Fondo: 30 m2
  • Fot: 0,8
  • Fos: 0,6
  • Tipo: Residencial
  • Ultima Actualizacion: 20/03/2025

Ubicación

Contáctenos

Germán Bliger propiedades
Dirección: Calle 17 700
Teléfono: +542266633700
cargando
Enviando

Su consulta ha sido enviada

Contáctenos

LLamar WhatsApp
cargando
Enviando

Su consulta ha sido enviada
Nos comunicaremos en la brevedad


Propiedades Similares

Venta

Terreno en Balcarce

Código 460486
Av. Suipacha 480
  • 280 m2
  • 10 m2
  • 28 m2

✨ Excelente lote de terreno sobre Av. 32 ✨ 📐 10 metros de frente x 28 metros de fondo 🔌💧 Cuenta con todos los servicios 📍 Ubicación estratégica sobre avenida principal 💡 Ideal para cualquier tipo de emprendimiento o desarrollo: comercial, profesional o inversión. 📲 ¡Consultanos para más información! #LoteEnVenta #Terreno #OportunidadInmobiliaria #Inversión #Desarrollo #Emprendimiento #AvenidaPrincipal #TodosLosServicios #BienesRaíces #Inmobiliaria 🏡📈

U$S 35.000
Venta

Terreno en Balcarce

Código 426981
5QGG+C9 Balcarce
  • 228 m2
  • 10 m2
  • 22,8 m2

Lote de terreno en venta de 10 metros de frente x 22.80 metros de fondo. Zona de gran crecimiento en los ultimos años, barrio desarrollado casi en su totalidad. La zona posee servicios a conectar de luz. Demas servicios cercanos. Consultenos!

U$S 14.000
Venta

Terreno en Balcarce

Código 413957
RP55
  • 615 m2
  • 31 m2
  • 64 m2

Lotes de terreno en barrio cerrado. Cuentan con ingreso principal desde Ruta 55 a pocos metros del cruce de rutas 226 y 55, calle interna en excelente estado, vista a sierra. Servicios de luz. Lotes disponibles: (ver plano adjunto) 00-01: 615,13 m2 - U$S23.000.- 00-02: 609,78 m2 - U$S25.000.- 00-03: 1299,43 m2 - U$S36.000.- 00-05: 1264 m2 - U$S28.000.- 00-12: 975,09 m2 - con casa U$S180.00.- Las medidas de cada lote estan expresadas acordes a Cartografia de ARBA - FINANCIACIÓN de hasta el 50% en dolares!

U$S 23.000

Síguenos

Email Llamar WhatsApp